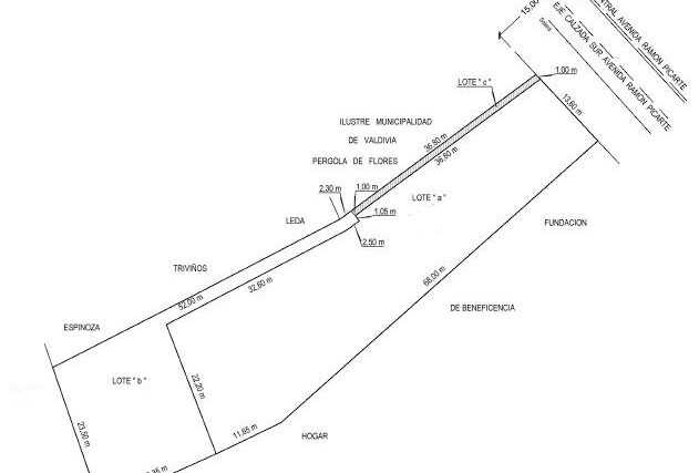
Amplia propiedad comercial en Avenida Picarte (arteria principal de Valdivia), de 1295 metros cuadrados a UF15.540. Al lado de pérgola, cercano a locales comerciales, supermercados, cementerio. Ideal para proyecto. Posee un frente de 13,6 metros (más 1 metro de usufructo) a la avenida Picarte.
Cuenta con 240 m2 de construcciones, actualmente arrendadas, hacia la Avenida Ramón Picarte.
DOS GRANDES TERRENOS CONSTRUIDOS, EXCELENTE UBICACIÓN EN ISLA TEJA.
Valdivia
N° Dormitorios
NA
N° Baños
NA
Estacionam.
NA









